Planungsverband Gewerbegebiet B 4 - Erweiterung Gewerbegebiet "Wittorfer Heide Nord"
Der Planungsverband Gewerbegebiet 4 hat von der Samtgemeinde Bardowick - bzw. dem Flecken Bardowick und der Gemeinde Wittorf - den Auftrag erhalten, ein gemeindeübergreifendes Gewerbegebiet zu entwickeln und zu vermarkten.
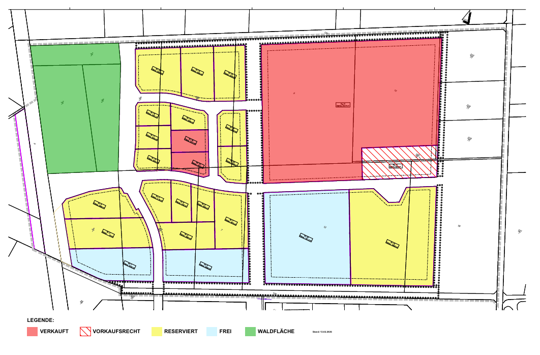
In den Bauabschnitten 1 bis 4 sind aktuell über 50 Gewerbebetriebe angesiedelt, seit Ende 2025 laufen die Erschließungsarbeiten und die Vermarktung für die Bauabschnitte 5 und 6.
Hier im Anschluss finden Sie weitere Informationen.
Informationen zu verfügbaren Gewerbeflächen Bauabschnitt 5-6
Schulstr. 12
21357 Bardowick
Baubeginn der Erschließungsarbeiten: Herbst 2025 (Bauzeit: ca. 13 Monate)
Fertigstellung Erschließung: voraussichtlich Ende 2026 (Parzellenverfügbarkeit für Bebauung: voraussichtl. ab Mitte 2026)
Erschließungskosten: ca. 7,9 Mio €
Kreisverkehr an der K46: Baubeginn im April 2026, finaler Asphalteinbau Oktober 2026
Ankaufskosten gesamt: ca. 7,9 Mio €
Netto-Gewerbefläche: ca. 168.500 m²
Geplante Anzahl Parzellen: 24
Flächenverteilung zwischen ca. 2.000m² und ca. 55.000m²
m²-Preis (Verkauf): 97,50€/m²
Aktuell sind über 50 Gewerbebetriebe im bereits bestehenden Gewerbegebiet angesiedelt. Da nur geringe Ausbau- und Erweiterungsmöglichkeiten bestehen, hat man sich für eine Erweiterung des Gewerbegebietes in nördlicher Ausrichtung entschieden.
Grundlage der Erschließungsbaumaßnahmen für die Bauabschnitte 5 und 6 ist der Bebauungsplans Nr. 4 „Gewerbegebiet Wittorfer Heide Nord“. Die Verbandsversammlung des Planungsverbands Gewerbegebiet B 4 hat in ihrer Sitzung am 17.06.2025 den Bebauungsplan Planungsverband Nr. 4 „Gewerbegebiet Wittorfer Heide Nord“ mit örtlichen Bauvorschriften als Satzung sowie die Begründung mit Umweltbericht hierzu beschlossen. Mit der Veröffentlichung im Amtsblatt für den Landkreis Lüneburg Nr. 8.2025 vom 21.07.2025 ist der Bebauungsplan in Kraft getreten.
- Neubau eines internen Erschließungsstraßennetzes (Haupterschließung und Stichstraßen) mit Fahrbahnbreiten gemäß RStO mit direkter Anbindung im Süden an die vorangegangenen Bauabschnitte via „Papenkamp“.
- Neubau eines Kreisverkehrsplatzes (KVP) an der Schnittstelle zur K46 zwecks Anbindung an das übergeordnete Straßennetz; Autobahnanschluss über die B 404 und die Anschlussstelle „Handorf“ bzw. Anschlussstelle „Lüneburg Nord“ in ca. 4,5 bzw. 4,7 km Entfernung.
- Herstellung von Gehwegen entlang der Trassen.
- Anlage von Wendeplätzen und Zufahrten zu den einzelnen Parzellen.
- Anlage von LKW-Stellplätzen im nord-westlichen Bereich, angrenzend an das zu erhaltende Waldstück im Plangebiet.
- Saatgut im Bereich der Grünflächen (E+A): Es kommen zwei Saatgutmischungen zum Einsatz, die jeweils aus 28 bis 30 verschiedenen regionalen Gräsern, Leguminosen und Kräutern bestehen, darunter etwa der „Knotige Braunwurz“, „Scharfer Hahnenfuß“ und „Gewöhnliches Ferkelkraut“.
- Die Pflanzvorschriften im Rahmen des Bebauungsplan Nr. 4 sehen ausschließlich autochtones Pflanzgut vor, also standortheimische Laubgehölze. Eine Beschaffung fernab des Bestimmungsortes ist somit ausgeschlossen. Lediglich auf den Privatgrundstücken sind auch bestimmte Obstbäume zulässig.
- Das WC-Häuschen (Trucker-WC) an der Gabelung Papenkamp, Heidkamp, Laake wird eine vollständige Dachbegrünung erhalten.
- Die Regenwasserentsorgung wird ausschließlich durch Versickerungsanlagen realisiert. Im Baugebiet erfolgt die Versickerung in dezentralen Mulden, in einigen Bereichen werden Mulden-Rigolen-Elemente angeordnet. Dabei werden die Rigolen aus Kunststoffboxen hergestellt. Insgesamt werden 210 Stück dieser Speicherboxen zur Zwischenspeicherung von Niederschlagswasser über das Baugebiet verteilt.
- Als Straßenbäume kommen Schwarzerle und Silberweide zum Einsatz. Beide Gehölze eigenen sich für feuchte Böden und sind gut geeignet für Standorte mit erhöhter Salzbelastung (Streusalz).


